2015年(平成27年7月)6号
発行所:株式会社 山田養蜂場 http://www.3838.com/ 編集:ⓒリトルヘブン編集室
〒880-0804 宮崎県宮崎市宮田町10-22-203
秋田県仙北市西木 元村総合産業合同会社
何日かぶりで雨の上がった昼前、気温の上昇と共に栗の花に寄ってくる蜜蜂の姿が増えてきた
山谷の作業所には、指物大工をしていた当時の道具や巣箱を作る際の原寸定規が保存されている
西明寺栗の満開の花に寄って来て、花粉を両脚に付けた働き蜂
1 - 3
<
>
原始の時から、次の種っこ次の種っこって生えてきた栗なんだよ
|元村さん宅の玄関を入ると、目の前の壁に「花も美しい 月も美しい それに気づく心が美しい」と書かれた紙が貼ってある。座敷の次の間には、額装された50号ほどの大きな絵画が重なるように数点立て掛けてある。雅子さんが趣味で描いている日本画なのだ。
|通された居間の真ん中に薪ストーブがあった。朝と夜は、6月でも薪を燃すのだそうだ。栗蜂蜜の入ったコーヒーをご馳走になっていると、ボスッパチパチと薪の弾ける音が忙しい時間の流れを忘れさせてくれる。
|「昼間との気温差が激しいんですよね。寒暖の差があるということは、栗の味が良いということなんですよ」と、宏さん。
|「火というのは、見れば面白いもんだもん。薪は、原始の時から、次の種っこ次の種っこって生えてきた栗なんだよ。そんな木だと薪になるけど、苗を植えた栗の木は薪にならないんだと」と、雅子さんがストーブに薪を足しながら教えてくれた。「日曜日の朝は独占してるんだ」と言って雅子さんがテレビの前に座り込むと、Eテレで「日曜美術館」が始まった。身を乗り出してテレビの画面を見つめている雅子さんが感に堪えないように呟く。「鳥の翼をすごく細かく描いているんだ。レオナルド・ダ・ビンチ。このような人を天才って言うんだ。あの時代に飛行機を考えてるんだもん。すごいもんだよ」
|テレビ横に置いた空き瓶に、アワユキソウとヒメヒマワリが活けてある。薪ストーブを挟んで一緒にテレビを観ている夫の宏さんも、立ち入ることのできない雅子さんの時間が流れている。見ていると、支え合うというよりも、各々が根を張った樹のように独立し、その枝が励ますように絡み合い互いに影響し合って生きてきたお二人の歴史を感じさせた。
元村さんの自宅居間で、Eテレの「日曜美術館」を見る雅子さんと宏さん
興味深い絵が「日曜美術館」で紹介されると、雅子さんは身を乗り出して画面に
見入っていた
半世紀を超えて日記を付け、1日の最後には論語を学ぶ
|雅子さんに日本画という他には代えられない趣味があるように、宏さんには趣味ではないが「養蜂日誌」という自らを照らし出す記録がある。
|「ずっと若い時から日記を付けていたけど。5年日記3年日記というのは書く欄があまりにもないもんで、自分でA4の紙を綴じて養蜂日誌にしています。これだと好きなように書けるからね。やっぱり毎年ね、全然違ってくるから。一つの基準になると思って、私、やっておるんだけど」
|半世紀を超えて日記を付け続けていることに、無精者の私は驚く。養蜂日誌を横から覗かせてもらうと、1日の作業内容や出来事が細かく記録されているばかりか、1日の最後には論語から引いた故事成語が太い字で書かれてあった。
|「いくらか考え方も変わってくるんじゃないかと思って、そのような人間になれればいいなちゅうことでね。なれないだろうけれども、目指していけばいいんじゃないかなと思って。大好きなんですよ、私。好きな言葉は『桃李もの言わざれども 下 自ずから蹊を成す』ですね」(注・「史記」李将軍伝賛)
自宅の台所で雅子さんが、栗蜂蜜入りのコーヒーを
入れようとしている
秋田の農家で使われていた笠を被って庭の草取りをしている雅子さん
山谷の雅子さんの実家に祀られているお稲荷様。
鳥居は宏さんが手斧で削って造った
梅雨のつかの間、わずか30分ほど山谷の養蜂場に日射しがあった
山谷の庭には、雅子さんが丹精した花が咲き乱れている
最初、蜂を3群飼ったんですよ。
全部だめにしてしまった
宏さんがA4の紙を綴じて付けている養蜂日誌。
1日の動きを詳しく書いた後に論語から引いた故事成語が見える
男の隠れ家的な雰囲気のある山谷の作業所。
いつも座る薪ストーブ前の席で寛ぐ宏さん
西明寺栗をブランド化するために組織替えし、これまで活動してきた西明寺栗生産出荷組合の解散総会が開催され宏さんが議長を務めた
|宏さんが養蜂を始めたのは69歳の時、6年前のことだ。
|「東京の方で仕事してきたもんだから、70歳を迎えるようになったら(秋田に)帰る。そうなったら蜂をやるよと言ってたんです。子どもの頃は父親の実家で蜂をやってたんだよね。梨、柿、スモモ、ブドウ、それに栗をやってたから、蜂が交配用に要ったんだろうね。母親が蜜を小さい瓶に入れてて、私がちょこっと舐めるとすごく美味しい。蜂をやってみようと思うのは、そんな記憶が残ってたのかね。最初、蜂を3群飼ったんですよ。最初の年は全部だめにしてしまった。巣箱を密閉してしまったんだな。外が寒いのに中が暖かいので結露になったんだよね」
|宏さんは20人ほどの弟子を抱える指物大工として活躍していた。
|「若い頃には、半纏着て自転車乗ってね。襟の縁に元村建設って書いてね。お早う野球ちゅうのが盛んだったんですよ。それで元村建設の野球チームを作って、弟子ばっかしじゃなくてね。左官屋さんとか板金屋さんも一緒に入ってね。そうしないと負けるのよ。若いから皆が上手というわけじゃないからね」
|当然のことながら巣箱は全て宏さんの手作りだ。男の隠れ家のような雰囲気が漂う山谷の作業所には、家を建てる時の基本となるカナバカリや巣箱の原寸大の型枠などが壁に吊して置いてある。宏さんの職業意識には、養蜂家の他に指物大工と栗生産者という3つの仕事が共存しているようだ。最も遅くから始めた養蜂では失敗もある。
|「内検の時に王台ができている場合でも、女王蜂が見当たらないで、そのままにして2、3日後に分封されてしまったこともあったね。毎年気候は変わるし蜂も違うから、そこんところが蜂の難しいところですよ。私は、アカシアを採った後で、すぐに栗の蜜も採るでしょ。その頃ちょうど雨が続くことがあって、内検のタイミングが難しくなってしまうこともあるね。蜂は生き物ですから、やっぱりかわいいんだ。蜂がいないと寂しいんだよなあ」
|養蜂家としての原点は「蜂がいないと寂しい」にあるのだ。宏さんの名刺には肩書きが「元村総合産業合同会社 会長」となっている。社名を総合産業とした理由を尋ねると、我が意を得たりととばかり、嬉しそうな表情で話してくれた。
|「いま東京に居る倅(せがれ)が建築をやっているし、娘は造園。私は養蜂。みんながこっちに寄って来れば、それぞれの分野で仕事ができるんじゃないかと思って、総合としたんだよね」
|宏さんの将来に備えた家族思いが社名に込められていたのだ。
|栗の花は開花の期間が短い。栗園の真っ只中にいた蜜蜂たちは、今ごろ何の花を目指して巣箱を飛び出しているのだろうか。
蜂は生き物ですから、やっぱりかわいいんだ
蜂がいないと寂しいんだよなあ
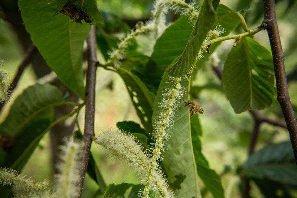
20センチほどの長さで垂れ下がる栗の花の密林を蜜と花粉を求めて飛び交う働き蜂
小山田沢口の栗園の真ん中に継ぎ箱15個を置いた宏さんの養蜂場。この日の作業を終えて帰宅の準備をしている
1 - 2
<
>
Supported by 山田養蜂場
Photography& Copyright:Akutagawa Jin
Design:Hagiwara Hironori
Proofreading:Hashiguchi Junichi
WebDesign:Pawanavi